Dipol FM | 105,6 fm
Max banner

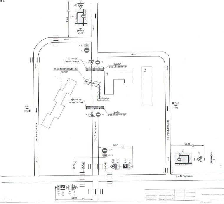
В Тюмени участок ул. Котельщиков закроют до 6 июля

Пути объезда: ул. Харьковская, ул. Рабфаковская, межквартальные проезды.

В Тюмени с 28 июня по 6 июля будет перекрыто движение по автомобильной дороге ул. Котельщиков в районе дома №1. Это связано с производством работ по капитальному ремонту тепловой сети, сообщает пресс-служба мэрии.

Участников дорожного движения убедительно просят обращать внимание на знаки и заранее планировать маршрут.

Пути объезда: ул. Харьковская, ул. Рабфаковская, межквартальные проезды.

Неудобно на сайте? Читайте самое интересное в Telegram, самое полезное в Vk и самое актуальное в MAX
Последние новости
Мошенники представляются сотрудниками тюменского водоканала
Мошенники представляются сотрудниками тюменского водоканала
Граждан призывают проверять информацию.
#Росводоканал
#водоканал
#мошенники
#мошенничество
#Тюмень
#новости Тюмени
#новости России
#тк
В Тюмени аферистка обманула жену пропавшего на СВО бойца
В Тюмени аферистка обманула жену пропавшего на СВО бойца
Обвиняемая в ходе следствия возместила причиненный ущерб.
#мошенники
#мошенничество
#гадания
#уголовное дело
#СВО
#обман
#новости Тюмени
#тк
Тюменских водителей предупреждают о тумане и сильном ветре на трассах
Тюменских водителей предупреждают о тумане и сильном ветре на трассах
Кроме того, ожидается снег с дождем.
#прогноз
#погода
#снег
#туман
#ветер
#дождь
#Тюмень
#Тюменская область
#новости Тюмени
#тк
В Тюмени тушат пожар в производственном здании на улице Мелиораторов
В Тюмени тушат пожар в производственном здании на улице Мелиораторов
Сообщений о пострадавших не поступало.
#МЧС
#пожар
#ММС
#Тюмень
#новости Тюмени
#тк
В Тюменской области началось ежедневное патрулирование лесов
В Тюменской области началось ежедневное патрулирование лесов
За нарушение правил предусмотрены штрафы.
#лес
#патруль
#пожароопасный сезон
#Тюменская область
#безопасность
#штраф
#тк

Настоящий ресурс использует сервис веб-аналитики Яндекс Метрика, предоставляемый компанией ООО «ЯНДЕКС», 119021, Россия, Москва, ул. Л. Толстого, 16 (далее — Яндекс), сервис Яндекс Метрика использует файлы «cookie» с целью сбора технических данных посетителей для обеспечения работоспособности и улучшения качества обслуживания. Продолжая использовать ресурс, Вы автоматически соглашаетесь с использованием данных технологий.

Собранная при помощи «cookie» информация не может идентифицировать вас, однако может помочь нам улучшить работу нашего сайта. Информация об использовании вами данного сайта, собранная при помощи «cookie», будет передаваться Яндексу и храниться на серверах Яндекса в Российской Федерации.

Вы можете отказаться от использования «cookie», выбрав соответствующие настройки в браузере.

Подробнее о нашей политике обработки персональных данных.

Принять